貸倉庫(貸し倉庫)、貸工場(貸し工場)の検索サイト。大阪、兵庫、京都、奈良など、関西の工場・倉庫を検索!(賃貸借物件)

Eメールでのお問い合わせ : toiawase@sanki.info

見え~る!倉庫広場 関西 貸倉庫・貸工場・貸土地

関西エリア : 06-6304-0999 関東エリア 03-5200-0999 土曜日・日曜日も営業 ■営業時間:9:00~17:30 ■定休日:祝日・年末年始・お盆
※土・日曜日については交代制出勤につき、電話受付のみ (9:00~17:30)
自動応答ではなく、スタッフが直接お電話で対応いたします。

お問い合わせ

★2025年11月竣工新築物件★幹線道路沿い・大型車輌OK・駐車場付!府道16号沿いでアクセス良好!
物件番号 3356143 物件種目 倉庫
  • 物件写真
  • 概略地図
  • 人口統計
  • 地図上確認
  • 契約までの流れ
事前連絡無しの現地訪問はご遠慮ください
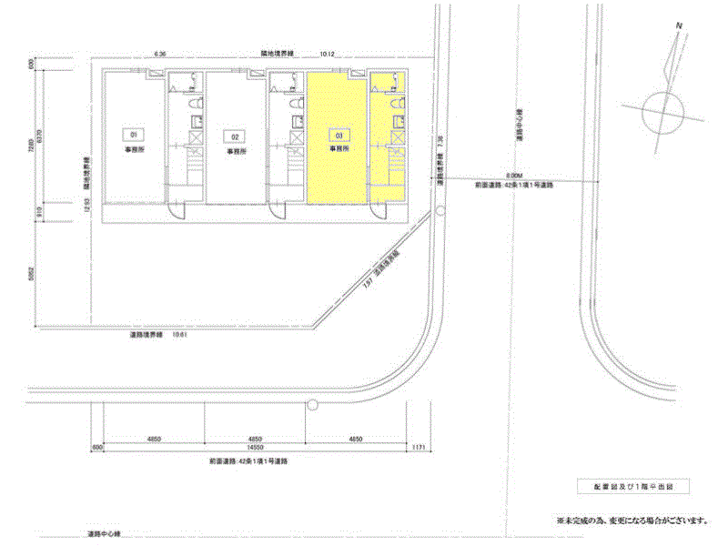
所在地 大阪府摂津市鳥飼本町1丁目
賃料(月額) 18.7万円16.5万円 ※値下げ(坪単価:8,720円)消費税込み
保証金・解約引き等 礼金:2ヶ月
建物面積 62.56m²/18.92坪 構造/階数 木造/2階建ての1~2階部分
用途地域 近隣商業地域
用途地域について
登録日 ? 2026年1月22日
沿線/駅 大阪モノレール本線/南摂津駅 徒歩20分以上
大阪モノレール「南摂津」駅までバス乗車約9分 (阪急バス「鳥飼五久」停まで徒歩約1分)
高速道路出入口 近畿自動車道 摂津北から約4km
各階面積 1F:30.57m²/9.24坪 2F:31.99m²/9.67坪 他:11.03m²/3.33坪
道路幅員 角地 南東 19m 北東 6m 駐車場
現況 空家 引渡し 即時
築年月 2025年11月
契約期間 相談 都市計画 市街化区域
建築確認
設備関連 キッチン(IH)、シャワーブース、室内洗濯機置場、トイレ(2ヶ所)、給湯、TVモニターホン、電動シャッター、ロフト、バルコニー、屋上 事務所有
●光インターネット無料
※NHK受信料は借主負担となります。
※ひかり電話・ひかりTV(有料チャンネル)・その他オプション追加等は借主負担で別途契約となります。
周辺状況 *近隣民家有
*建ぺい率80%・容積率200%
*準防火地域
その他 *管理費なし※事業用として使用の場合は、別途消防設備点検費、ゴミ処理費要
*礼金500,000円※事業用として使用の場合は別途消費税要
*ロフト11.03㎡ (別途屋上9.94㎡)
*延床62.56㎡+ ロフト11.02㎡
*バルコニー方向:南東
*水道代実費
*火災保険加入要
*保証会社加入要
*前面空地駐車可:1階フリースペースのガレージ使用も可。
前テナント様業種
取引態様 仲介
大型車輌 ヤード
近隣住宅 プラットホーム
事務所 クレーン -
リフト/EV -
担当者からのコメント担当者からのコメント
◎新築ガレージハウス・全3区画
◎SOHO・倉庫・事務所・住居使用可
◎鳥飼仁和寺大橋近く、府道16号線沿い
初期費用シミュレーション概算
※概算となりますので、実際の初期費用等に関してはお気軽にお問い合わせ下さい。

賃料

165,000円

仲介手数料

165,000円

保証会社金額

165,000円

保証金

0円

敷金

0円

礼金

330,000円

日割り賃料


※日割り賃料は1ヶ月を
30日換算で計算しております。

合計:825,000円
■ ご利用上の注意
  1. 事前連絡なしの現地への突然の訪問はご遠慮ください。
    募集物件ごとに前テナント入居中・家主事情・テナントの諸事情等もあり、ごくまれですが、直接物件を見に行かれた事によるトラブルが発生しています。
    現地、見に行かれる際は、必ず事前に弊社担当者までご連絡ください。
  2. 現地業者看板には直接連絡しないでください。
    現地看板に連絡されますと仲介手数料の2重請求となってしまう恐れがあります。
    物件についての質問等は必ず弊社(三基建設)TEL 06-6304-0999 までご連絡ください。

    メールでのご質問は toiawase@sanki.info まで
  3. 設備について
    必ずしも法令に基づく届け出等がされていないものもあります。契約時には必ず弊社担当までご確認ください。
  4. 前テナント様業種について
    必ずしも営業可能な業種とは限りませんので用途地域の制限等弊社担当までご確認ください。
  5. 大型車両欄の「可」の表示については前面道路幅員が概ね6m以上の道路として住宅地図上から判断したものです。実際については現地をご確認ください。
  6. 近隣住宅欄の「無」の表示については住宅地図上で隣接する住宅が無く、10m以下の道路を挟んだ向かいに住宅が無いことを基準にしております。実際については現地をご確認ください。
  7. 2階面積が1階面積の3分の1の建物には平家建と記載しております。
  8. 「全文キーワード」による検索は、大型車両・近隣住宅などの「可・不可」「有・無」の項目は検索されません。
  9. 高さ・土地面積について
    高さ等の寸法について、必ずしも現地を計測したものではない場合があります。実際については現地をご確認ください。
    土地面積については航空写真等を利用し計測した概算面積を記載している物件もあります。予めご了承願います。
  10. 賃料以外に、共益費・電気基本料等、家主様に支払うべき費用が発生する場合があります。
    掲載には充分注意しておりますが、入居の際には弊社担当者にご確認ください。
  11. 本ページ更新中に成約することもございます。あらかじめ御了承ください。
この物件に対する問い合わせ
複数の物件を問い合わせされる場合は、お気に入り登録からの一括問い合わせをご利用ください。
※「①」や「㈱」等の機種依存文字は文字化けすることが多いのでなるべくお控えください。

お気に入り一括問い合わせはこちらから
貴社名 担当者名とどちらか必須入力
ご担当者名 会社名とどちらか必須入力
業種 必須入力
お電話番号 必須入力
E-mail 必須入力
移転区分 必須入力
必要なもの
(複数選択可)
  •  
お問い合わせ内容
個人情報の取り扱いをご確認ください。

お探しの条件に近い物件

種目

貸倉庫

所在地 大阪府寝屋川市高柳5丁目
賃料(月額) 15.4(坪単価:8,789円)
建物面積 57.93m²/17.52坪
種目

貸倉庫

所在地 大阪府寝屋川市高柳5丁目
賃料(月額) 15.4(坪単価:8,789円)
建物面積 57.93m²/17.52坪
種目

貸倉庫

所在地 大阪府寝屋川市高柳5丁目
賃料(月額) 15.4(坪単価:8,789円)
建物面積 57.93m²/17.52坪
3 件あります

Eメールでのお問い合わせ : toiawase@sanki.info

三基建設株式会社

三基建設株式会社 本社

〒532-0011 大阪市淀川区西中島1-13-15 SANKIビル [ MAP ]
TEL : 06-6304-0999 / FAX : 06-6304-7384

三基建設株式会社 堺店

〒590-0018 堺市堺区今池町2丁7番16号 [ MAP ]
TEL : 072-233-0999 / FAX : 072-233-0997

当社は大阪府宅地建物取引業協会会員です。[ 宅建協会HP ]
宅建協会新大阪支部に登録されています。[ 新大阪支部HP ]

Copyright © SANKIKENSETSU CO.LTD. All right reserved. Designed by ACCESSWEB INC.